Google DeepMind Unleashes Cyclone Forecasting AI to Boost Global Disaster Readiness

Sapatar / Updated: Jun 13, 2025, 18:44 IST 93 Share
Google DeepMind Unleashes Cyclone Forecasting AI to Boost Global Disaster Readiness

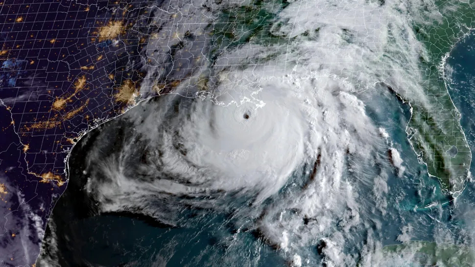
Google DeepMind has unveiled a new artificial intelligence model that promises to significantly enhance the prediction of tropical cyclones, aiming to provide faster and more accurate warnings ahead of natural disasters. The new AI system, known as GraphCast, marks a major advancement in meteorological technology by outperforming traditional weather prediction models in various key areas, including cyclone tracking, intensity forecasting, and landfall estimation.


GraphCast Outperforms Traditional Systems

The GraphCast model, developed in collaboration with global meteorological institutions, leverages machine learning and historical weather data to anticipate severe weather patterns with remarkable precision. In internal testing, DeepMind’s AI demonstrated superior performance to leading systems like the European Centre for Medium-Range Weather Forecasts (ECMWF), predicting cyclone paths up to five days in advance with higher accuracy. Notably, GraphCast also showed an improved ability to estimate storm intensity—a critical factor for emergency response.


AI's Role in Climate Resilience

The introduction of this AI-driven forecasting system aligns with growing global concerns around climate change and the increasing frequency of extreme weather events. With better cyclone forecasts, governments and humanitarian agencies can gain crucial lead time for disaster preparedness, potentially saving lives and reducing economic losses. DeepMind’s model is open-source, enabling broader adoption by weather agencies and researchers worldwide.


Deployment and Accessibility

Google DeepMind has already made GraphCast freely accessible to researchers and meteorologists through open platforms such as Google Cloud and ECMWF. The model uses a global dataset to generate accurate forecasts in a fraction of the time needed by conventional supercomputing methods. Its accessibility could be especially beneficial to developing nations that face frequent cyclone threats but lack high-end meteorological infrastructure.


Towards a Smarter Weather Future

This AI milestone adds to DeepMind's growing list of scientific contributions, showcasing how deep learning can solve real-world problems at scale. As climate patterns become more unpredictable, integrating advanced AI into environmental monitoring may be the key to building global climate resilience.